Storm of the century: Hurricane Melissa barrels toward Jamaica, catastrophe feared

Storm of the century: Hurricane Melissa barrels toward Jamaica, catastrophe feared
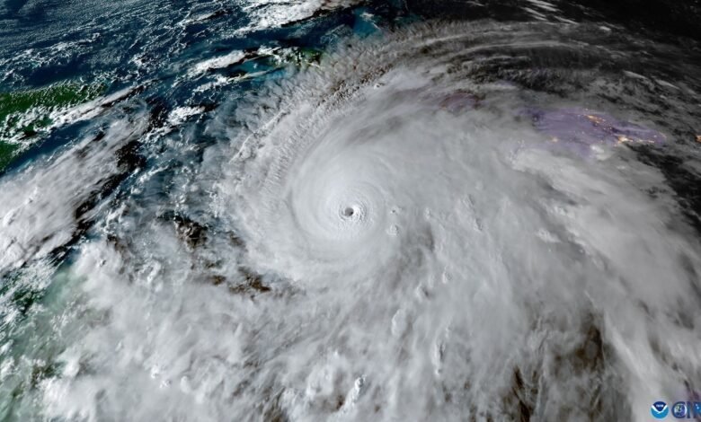
Hurricane Melissa, a Category 5 storm packing winds of over 300 kmph, is bearing down on Jamaica in what United Nations officials have warned could be the island’s worst storm this century. The powerful hurricane, expected to make landfall on Tuesday, has already begun lashing coastal areas with torrential rain and fierce winds, threatening catastrophic flooding and destruction.
“It’s a catastrophic situation expected in Jamaica,” said Anne-Claire Fontan, tropical cyclone specialist at the World Meteorological Organisation (WMO), during a briefing in Geneva. “For Jamaica, it will be the storm of the century for sure.”
Authorities have issued mandatory evacuation orders for several southern and coastal communities, while hundreds of shelters have opened across the island as residents brace for impact.
HURRICANE-FORCE WINDS TO HIT JAMAICA SOON
Catastrophic hurricane-force winds are expected to reach Jamaica in the next few hours, the US National Hurricane Centre (NHC) said in its latest update issued at 18:01 GMT. The island is already experiencing tropical storm conditions, with Melissa forecast to make landfall “during the next several hours.”
Melissa remains a Category 5 hurricane with maximum sustained winds near 175 mph (280 km/h), the NHC said, adding that “little change in strength is expected” before landfall. The hurricane is currently about 55 miles (90 km) southwest of Jamaica, with hurricane-force winds extending up to 30 miles (45 km) from its centre.
“Melissa is expected to reach Jamaica and southeastern Cuba as an extremely dangerous major hurricane,” the NHC warned.
DEATHS REPORTED AHEAD OF LANDFALL
Jamaica’s Health Minister Chris Tufton said three people have died in storm-related incidents while preparing for the hurricane.
“Over the past few days, in preparation for the storm, we have had three deaths linked to cutting down of trees, and in one instance, electrocution,” Tufton said, according to the BBC.
In one case, a health worker in St Elizabeth was killed after a tree fell on him. He was airlifted to hospital but succumbed to his injuries, the Jamaica Observer reported. Nearly 15 others have been injured while taking precautionary measures, including falling from rooftops and trees.
“We urge the public to exercise extreme caution: activities such as climbing roofs, securing sandbags, or cutting trees may seem manageable, but even minor mistakes during hurricane conditions can result in serious injury or death,” Jamaica’s Ministry of Health said.
The storm has also been blamed for the deaths of four people in Haiti and the Dominican Republic amid days of torrential downpours.
Here are the latest updates on Hurricane Melissa:
Storm track: The US National Hurricane Center (NHC) said Melissa is expected to move across eastern Cuba late Tuesday before heading toward the Bahamas and Turks and Caicos by Wednesday.
Intensity: The hurricane’s slow movement over unusually warm Caribbean waters has fuelled its explosive growth, making it one of the largest and most powerful storms ever recorded in the region.
Population impact: The International Federation of the Red Cross (IFRC) estimates that up to 1.5 million people in Jamaica could be directly affected. “Roofs will be tested, floodwaters will rise, isolation will become a harsh reality for many,” said IFRC’s Necephor Mghendi.
Emergency response: More than 800 shelters have been opened across Jamaica to accommodate evacuees from low-lying and coastal areas.
Government action: Prime Minister Andrew Holness ordered mandatory evacuations on Monday for southern regions, including Port Royal, warning that “there is no infrastructure in the region that can withstand a Category 5.”
Expected damage: Authorities fear extensive losses to agriculture, housing, and transport networks as torrential rain and landslides continue to batter the island.
Meteorologists have warned that Jamaica could face days of destructive winds and flooding before the storm weakens as it crosses into Cuban territory late Tuesday.
(With inputs from agency)
– Ends
Source link



